2階建て:4LDK


INFO
物件情報
|
物件名 |
稲葉崎 中古住宅 |
||
|
価格 |
1,750万円 | ||
|
間取り |
2階建て 4LDK |
||
|
土地 |
201.9㎡/61.08坪 | ||
|
建物 |
1階 72.08㎡ 2階 48.02㎡ |
||
|
構造 |
木造瓦葺2階建て |
||
|
築年数 |
1986年9月 |
||
|
接道 |
北側 | ||
|
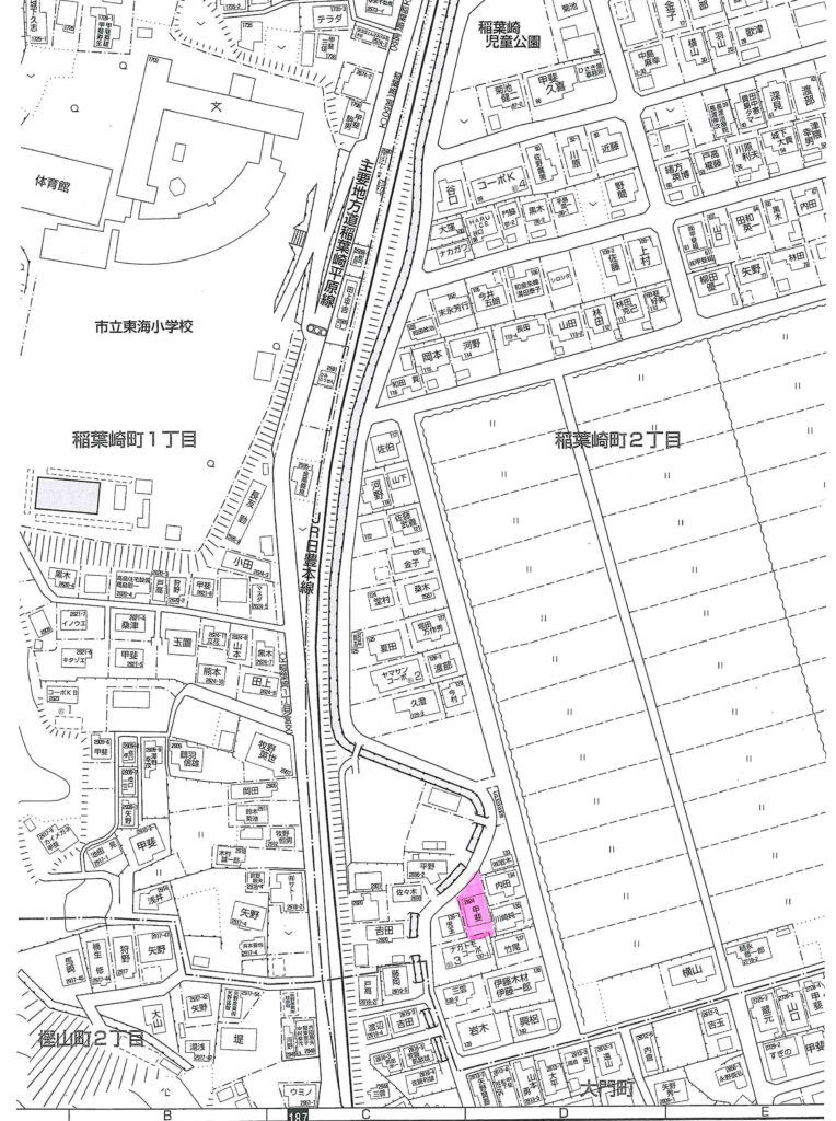
所在地 |
延岡市稲葉崎町2丁目136 | ||
|
用途地域 |
第一種住居地域 | ||
|
備考 |
外壁塗装済み、室内リフォーム済み(R7年9月) | ||
MAP
地図

Contact
お問合せ

株式会社家高不動産
宮崎県延岡市小峰町7393番地3
0982-27-5808
営業時間:8:00~17:00(土日休み)
宅地建物取引業免許番号宮崎県知事免許(2)第4689号

